Licitație
Distribuie

Vand teren intravilan Mioveni Str.Bugeac cu posibilitate de parcelare

PRET: 198 EUR
Vizualizări 5727
06.02.2026
Proprietar
PRET: 198 EUR -06.02.2026
Vizualizări 5727

Sumele Licitate
Vizualizări 5727
06.02.2026
Nu s-au găsit rezultate!

Chirii și Vânzări Imobiliare

Descriere

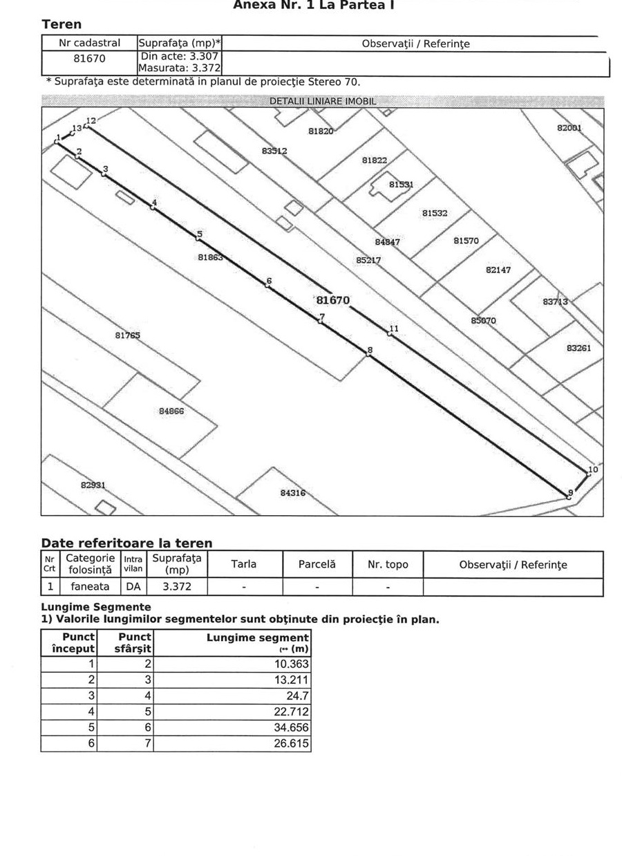
          Vand teren intravilan situat in Mioveni cu doua deschideri strada Bugeac si trada Dealul Viilor intravilan .Suprafata de 3372 m , deschidere 13.50 m , cu posibilitate de parcelare in doua .Dispune de toate utilitatile : apa, electricitate , gaz si canalizare.Fezabil construire bloc sau casa.

Vânzător

Tiberiu

Proprietar

Pe site din ian. 2022

Preț: 198 EUR

Argeș, Ștefănești

Recenzii
0 Recenzii de afișat
 
Anunțuri similare
Licitație
Ad Thumbnail
De Vanzare
Apartament 2 camere - Baneasa - Terasa S...
Proprietar

- 17.01.2026

94.500 EUR
Vânzare Directa
Ad Thumbnail
De Inchiriat
Apartament de Lux de inchiriat in Atriun...
Proprietar

Iași - 17.01.2026

450 EUR
Vânzare Directa
Ad Thumbnail
De Vanzare
Vand Vila tip Triplex 4 Camere 2 Bai - D...
Proprietar

Bragadiru - 17.01.2026

75.000 EUR
Vânzare Directa
Ad Thumbnail
De Inchiriat
inchiriez in regim hotelier ultracentral...
Proprietar

- 17.01.2026

25 EUR
//
Promo